[prev][index][next]

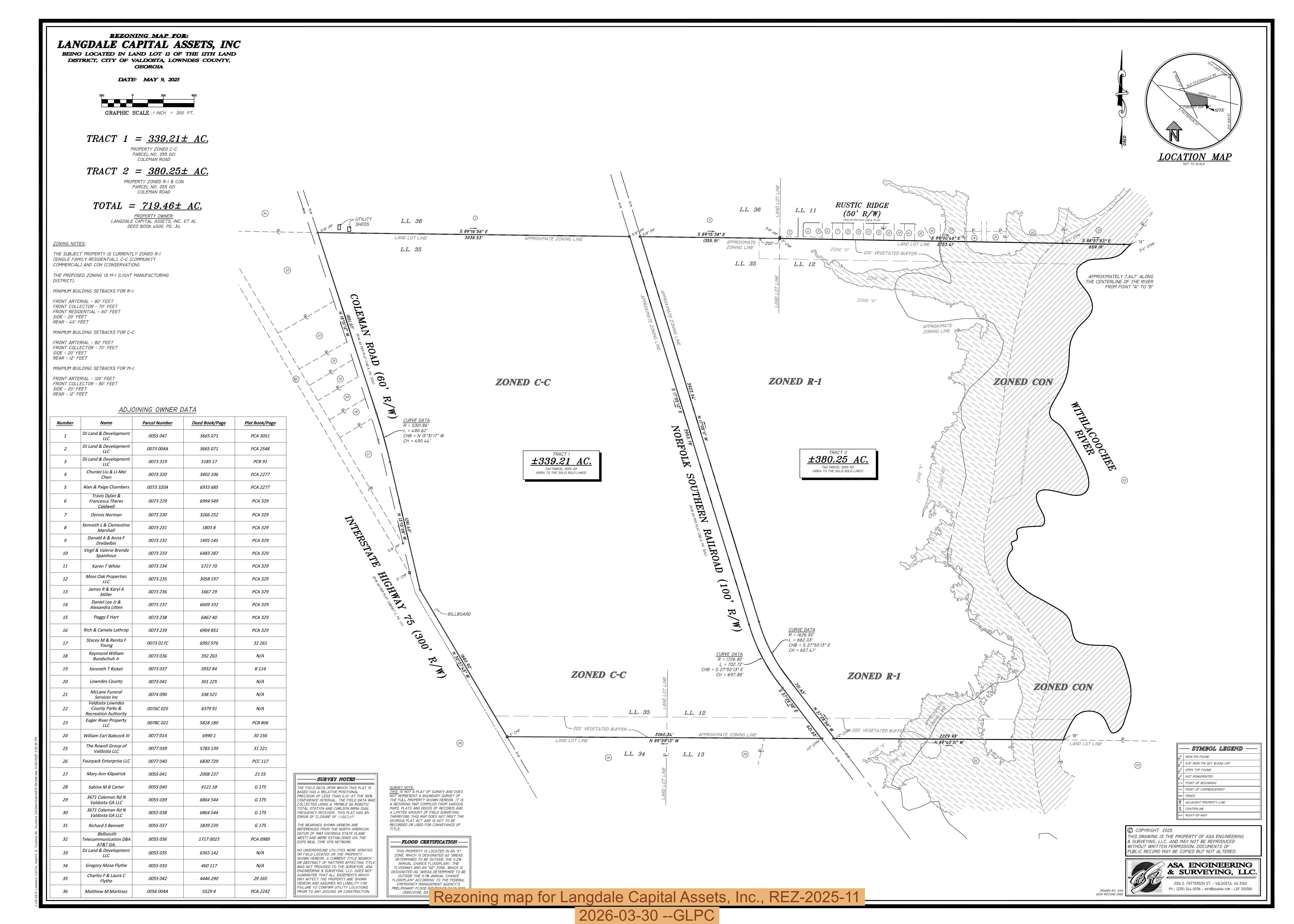
Rezoning map for Langdale Capital Assets, Inc., REZ-2025-11, 2026-03-30 --GLPC

GLPC-2025-06-30
Datacenters
24 March 2026
 
Rezoning map for Langdale Capital Assets, Inc., REZ-2025-11, 2026-03-30 --GLPC
smaller PDF