[prev][index][next]

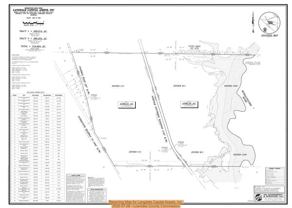
Rezoning Map for Langdale Capital Assets, Inc.

REZ-2025-11 Langdale Capital Assets, Coleman Road, ~719 ac, C-C, R-1, & CON, to M-1 & CON, County Utilities
Datacenters Meeting, Lowndes County, GA
17 February 2026
 
Rezoning Map for Langdale Capital Assets, Inc.
bigger PDF