WWALS Watershed Coalition

WWALS Watershed Coalition, Inc. (WWALS) is Suwannee RIVERKEEPER® WWALS advocates for conservation and stewardship of the surface waters and groundwater of the Suwannee River Basin and Estuary, in south Georgia and north Florida, among them the Withlacoochee, Willacoochee, Alapaha, Little, Santa Fe, and Suwannee River watersheds, through education, awareness, environmental monitoring, and citizen activities.

WWALS
Home

Minutes of August and September Berrien Planning Commission 2025-10-21 [Up]

You can help with clean, swimmable, fishable, drinkable, water in the 10,000-square-mile Suwannee River Basin in Florida and Georgia by becoming a WWALS member today!
https://wwals.net/donations/

Pictures

[Minutes of August and September, Berrien Planning Commission, Plus maps, Received 2025-10-21]
Minutes of August and September, Berrien Planning Commission, Plus maps, Received 2025-10-21

[Minutes of August and September, Berrien Planning Commission, Plus maps, Received 2025-10-21]
Minutes of August and September, Berrien Planning Commission, Plus maps, Received 2025-10-21

BCPC-2025-08-21

[Minutes, 2025-08-21 --Berrien County Planning Commission]
Minutes, 2025-08-21 --Berrien County Planning Commission
PDF

[Lisa Sumner, Larry Sanders, Dillion Nash , 2025-08-21 --Berrien County Planning Commission]
Lisa Sumner, Larry Sanders, Dillion Nash , 2025-08-21 --Berrien County Planning Commission
PDF

[John Beville, Jason Sumner, Johnny Nelsen, Matthew Beville, Austin Nash, 2025-08-21 --Berrien County Planning Commission]
John Beville, Jason Sumner, Johnny Nelsen, Matthew Beville, Austin Nash, 2025-08-21 --Berrien County Planning Commission
PDF

[Kyle Pearson, Teresa Willis, Danny Stustill, 2025-08-21 --Berrien County Planning Commission]
Kyle Pearson, Teresa Willis, Danny Stustill, 2025-08-21 --Berrien County Planning Commission
PDF

BCPC-2025-09-18

[Minutes, 2025-09-18 --Berrien County Planning Commission]
Minutes, 2025-09-18 --Berrien County Planning Commission
PDF

[John Beville, Mr. Danny, Lisa Sumner, 2025-09-18 --Berrien County Planning Commission]
John Beville, Mr. Danny, Lisa Sumner, 2025-09-18 --Berrien County Planning Commission
PDF

[Mr. Danny, Lisa Sumner, Teresa Willis, Greg Shoupe, Mr. Parrish, Wayne Nash, 2025-09-18 --Berrien County Planning Commission]
Mr. Danny, Lisa Sumner, Teresa Willis, Greg Shoupe, Mr. Parrish, Wayne Nash, 2025-09-18 --Berrien County Planning Commission
PDF

[Request for Hydrogeologic/Well Impact Study, Lisa Sumner, Mr. Beville, John Qua[r]terman, Mr. Parrish, Wayne Nash, 2025-09-18 --Berrien County Planning Commission]
Request for Hydrogeologic/Well Impact Study, Lisa Sumner, Mr. Beville, John Qua[r]terman, Mr. Parrish, Wayne Nash, 2025-09-18 --Berrien County Planning Commission
PDF

[Secretary Items, 2025-09-18 --Berrien County Planning Commission]
Secretary Items, 2025-09-18 --Berrien County Planning Commission
PDF

Maps

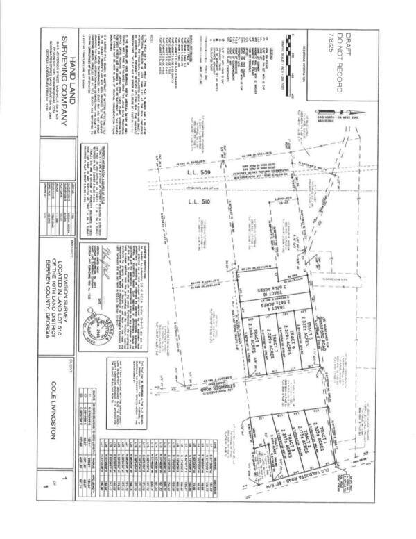
[Division Survey, Client: Cole Livingston, 2025-07-08 --Hand Land Surveying Company]
Division Survey, Client: Cole Livingston, 2025-07-08 --Hand Land Surveying Company
PDF

[Proposed Division Survey for South Auction, 2024-09-25 --Hand Land Surveying Company]
Proposed Division Survey for South Auction, 2024-09-25 --Hand Land Surveying Company
PDF

GR

[GORA request, 2025-10-16 --Suwannee Riverkeeper]
GORA request, 2025-10-16 --Suwannee Riverkeeper
PDF

[GORA request continued, 2025-10-16 --Suwannee Riverkeeper]
GORA request continued, 2025-10-16 --Suwannee Riverkeeper
PDF

CG

[Charges, 2025-10-27 --Berrien County Commissioner's Office]
Charges, 2025-10-27 --Berrien County Commissioner's Office
PDF

BCCPU

[VI. Community Policies, Policy 1.2: Inventory of Resources. Berrien County should create a detailed inventory of its natural resources to support their effective protection and long-term prservation., 2025-03-11 --Berrien County Comprehensive Plan Update]
VI. Community Policies, Policy 1.2: Inventory of Resources. Berrien County should create a detailed inventory of its natural resources to support their effective protection and long-term prservation., 2025-03-11 --Berrien County Comprehensive Plan Update
PDF

[Natural Resources, continued, 2025-03-11 --Berrien County Comprehensive Plan Update]
Natural Resources, continued, 2025-03-11 --Berrien County Comprehensive Plan Update
PDF

[Berrien County should develop a comprehensive inventory of natural resources within the County to ensure their protection and continued preservation (Policy 1.2), 2025-03-11 --Berrien County Comprehensive Plan Update]
Berrien County should develop a comprehensive inventory of natural resources within the County to ensure their protection and continued preservation (Policy 1.2), 2025-03-11 --Berrien County Comprehensive Plan Update
PDF

[Historic Main Street Area (Alapaha), 2025-03-11 --Berrien County Comprehensive Plan Update]
Historic Main Street Area (Alapaha), 2025-03-11 --Berrien County Comprehensive Plan Update
PDF