Update 2025-11-05: After some rather contentious testimony, the Berrien County Commission denied the subdividing request. WWALS videos to come. See also below about the other GORA request.
Here are the minutes from the first two meetings with the Public Hearings for the Cole Livingston proposed subdivision on Bradford and Strawder Roads and Old Valdosta Highway, at the Berrien County Planning Commission.
The actual decision will be made this evening, November 4, 2025, at 6 PM, by the Berrien County Commission, at 201 North Davis Street, Nashville, Georgia 31639.
These were received in response to a WWALS open records request, which is at the end below.
Minutes of August and September, Berrien Planning Commission, Plus maps, Received 2025-10-21
The Minutes are for these Berrien County Planning Commission meetings:
-
August 21, 2025
WWALS videos of that meeting -
September 18, 2025,
WWALS videos of that meeting -
We do not have the minutes for the October 16, 2025 meeting yet.
But here are the WWALS videos of that meeting
BCPC-2025-08-21
Minutes, 2025-08-21 –Berrien County Planning Commission
PDF
Lisa Sumner, Larry Sanders, Dillion Nash , 2025-08-21 –Berrien County Planning Commission
PDF
John Beville, Jason Sumner, Johnny Nelsen, Matthew Beville, Austin Nash, 2025-08-21 –Berrien County Planning Commission
PDF
Kyle Pearson, Teresa Willis, Danny Stustill, 2025-08-21 –Berrien County Planning Commission
PDF
BCPC-2025-09-18
Minutes, 2025-09-18 –Berrien County Planning Commission
PDF
John Beville, Mr. Danny, Lisa Sumner, 2025-09-18 –Berrien County Planning Commission
PDF
Mr. Danny, Lisa Sumner, Teresa Willis, Greg Shoupe, Mr. Parrish, Wayne Nash, 2025-09-18 –Berrien County Planning Commission
PDF
Request for Hydrogeologic/Well Impact Study, Lisa Sumner, Mr. Beville, John Qua[r]terman, Mr. Parrish, Wayne Nash, 2025-09-18 –Berrien County Planning Commission
PDF
Secretary Items, 2025-09-18 –Berrien County Planning Commission
PDF
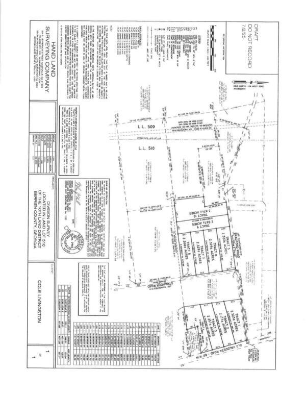
Maps
Division Survey, Client: Cole Livingston, 2025-07-08 –Hand Land Surveying Company
PDF
Proposed Division Survey for South Auction, 2024-09-25 –Hand Land Surveying Company
PDF
GR
This is the open records request.
GORA request, 2025-10-16 –Suwannee Riverkeeper
PDF
GORA request continued, 2025-10-16 –Suwannee Riverkeeper
PDF
CG
This document stating charges was the first response to this GORA request.
Charges, 2025-10-27 –Berrien County Commissioner’s Office
PDF
Then on October 21, 2025, Teresa Willis send email saying:
Please see attached for Open Records Request. Please be aware that 1. In your request does not apply and is not in the request, 4. Final Plat – once recorded will be available.
There is further correspondence about how the September minutes do not answer my item 1. request for the Soil Erosion and Sedimentation Control Plan, although maybe they are supposed to be the answer to item 3. about the attorney’s response.
She sent a further, rather cryptic, response that also does not seem to answer the question. I will probably post more about that later.
Meanwhile, I am taking a check for $15.35 to the Berrien County Commission meeting this evening.
FYI, the GORA requests I have filed are the usual sort that I file with county commissions or city councils about subdivisions. The Georgia Open Records Act requies a response within three business days. Usually I get a response within three days without any charge.
This GORA response also included excerpts from the 2025 Update to the Berrien County Comprehensive Plan. These seem to be related to a different GORA request I sent on August 1, 2025, for this: “Berrien County should develop a comprehensive inventory of natural resources within the County to ensure their protection and continued preservation (Policy 1.2).” Three months later, I still have not received that document.
I got no response at all until I sent a reminder on October 16. Then County Administrator Brenda Ferrell responded saying that they didn’t get it, but “I will get a response to you soon.”
I inquired again today, November 4, 2025, and got this answer from Teresa Willis: “We still have not received payment for the first GORA we sent to you in the amount of $15.35, upon receipt of that payment we will then release the second request.” I pointed out that I asked how they wanted payment and got no response. Brenda Ferrell clarified that they only accept checks. I have informed them I will bring a check to the County Commission meeting this evening.
Update 2025-11-05: On November 4, Teresa Willis said she had provided the response. I said I had not gotten a response. Finally, Teresa Willis wrote, shortly before noon on the 4th:
Response to policy 1.2 Natural Resources.
We have not created a detailed inventory list as of this date. The Policy states we “should “create a list.
Thanks Teresa
And “should” is correct. Why Berrien County could not have sent that response on August 1, 4, 5, or 6, 2025, and been within the statutory three days to response do a GORA request, I do not know.
So I thanked her. And she said “Your welcome.”
Also, I delivered the check to Brenda Ferrell after the County Commission meetin g. She said she would send me a receipt.
BCCPU
Berrien County w/ Cities, Alapaha, Enigma, Nashville, & Ray City Comprehensive Plan Plan Update 2025 (PDF, 19.5 MB)
VI. Community Policies, Policy 1.2: Inventory of Resources. Berrien County should create a detailed inventory of its natural resources to support their effective protection and long-term prservation., 2025-03-11 –Berrien County Comprehensive Plan Update
PDF
Natural Resources, continued, 2025-03-11 –Berrien County Comprehensive Plan Update
PDF
Berrien County should develop a comprehensive inventory of natural resources within the County to ensure their protection and continued preservation (Policy 1.2), 2025-03-11 –Berrien County Comprehensive Plan Update
PDF
Historic Main Street Area (Alapaha), 2025-03-11 –Berrien County Comprehensive Plan Update
PDF
-jsq, John S. Quarterman, Suwannee RIVERKEEPER®
You can help with clean, swimmable, fishable, drinkable, water in the 10,000-square-mile Suwannee River Basin in Florida and Georgia by becoming a WWALS member today!
https://wwals.net/donations/
Short Link:

Pingback: Agenda: Berrien County Commission 2025-11-04 | WWALS Watershed Coalition (WWALS) is Suwannee RIVERKEEPER®