This is a compilation of information about datacenters in the Suwannee River Basin, including the watersheds of the Little, Withlacoochee, Alapaha, Suwannee, and Santa Fe Rivers.
Possible Datacenter Sites, Lowndes County, GA, Irwin County, GA, 2025 and 2026
So far in the Suwannee River Basin we have only seen datacenters proposed in Georgia, in Lowndes County near the Withlacoochee River and in Irwin County near the Alapaha River.
Also, Brooks County passed a moratorium for February 2 to May 2, 2026.
Here’s a petition for Lowndes County:
Petition, Lowndes County, GA: Data Center Due Diligence, Withlacoochee River, Mud Swamp Creek
We also include some General Information, and some notes on Legislation.
General Information
See also Science for Georgia’s data center web page.
And Lowndes Citizens Against Data Centers (LCAD).
Datacenters for so-called Artificial Intelligence (AI):
- Use huge amounts of electric power,
Winter 2031 Capacity – Georgia Power’s Existing Resources and its Data Center Plan, 2026-02-17 –Amy Sharma, Science for Georgia
PDF- which requires more fossil-fuel-burning power plants,
- which require more cooling water.
- Bills such as SB 34 that were supposed to protect everyone else electric rate hikes have been gutted.
We Can Make More Energy. We Can’t Make More Water., 2026-02-17 –Amy Sharma, Science for Georgia
PDF -
Such datacenters may also use large amounts of cooling water directly
- Some claim to use closed loop cooling
- but where is the evidence?
- what chemicals are in those closed loops?
- and how to those chemicals get disposed of?
What is a Data Center?, 2026-02-17 –Amy Sharma, Science for Georgia
PDF -
Datacenter proponents promise
- many jobs: but how many of those are short-term construction or specialized with remote hiring?
- much tax revenue: where’s the evidence?
- Undependable: in Irwin County, a datacenter applicant promised tens of millions of dollars of taxes each year, and the next week withdrew the application.
The technology itself is fraught with problems and its industry is a bubble.
- So-called AI hallucinates no matter how good its training data –OpenAI 2025-09-18
- AI as presently deployed is crude, and its datacenters even cruder:
- they cram as much computing equipment as possidtble into large buildings
- when somebody leapfrogs that with smaller, cheaper, less power-intensive methods
- many datacenters will be obsolete.
- Diccon Hyatt, Investopedia, November 3, 2025,
AI Now Accounts for a Third of US Market Value—What That Means For The Economy,
AI developers say the technology promises to spur a world-altering surge of productivity and wealth. However, as more and more eggs are added to the basket of the AI ecosystem, concerns about a potential bubble have grown louder.
With so many bets concentrated in such a narrow field, more economists are speculating about the potential damage to the broader economy if the technology fails to live up to the hype and the market collapses. Those worries have intensified as AI companies become increasingly entangled in complex, circular multibillion-dollar deals with one another.
Legislation
See also Protect Georgia.
- Georgia legislature fails to rein in datacenters –AJC 2026-04-03.
- Call about developer and datacenter give-away bill GA SB 447 2026-03-17
- Datacenter electricity SB 34 in GA Senate Committee 2026-02-24
-
Developments of Regional Impact –Georgia Department
of Community Affairs
- Subject 110-12-3 DEVELOPMENTS OF REGIONAL IMPACT –Georgia Code
Brooks County
-
Datacenter moratorium –Brooks County, GA 2026-02-02.
Datacenter moratorium –Brooks County, GA, Passed February 2, 2026, Expires May 2, 2026
Lowndes County
-
Data Center Town Hall Meeting,
6 PM, Friday, April 17, 2026, at VSU Student Union Theater, 1505 N Oak St, Valdosta, GA 31602-3851.
A conversation with experts familiar with state regulatory agencies, data centers, and the challenges they pose for consumers and our environment in the era of climate change.
Panelists:
Peter Hubbard, Public Service Commissioner, District 3
Craig Cupid, Public Service Commission Candidate, District 5
What issues do the construction of large data centers pose for us?
- Will consumers be protected from rate increases to pay for them?
- Can data centers be responsibly built and be good neighbors?
- Will the energy footprint of data centers impact climate change?
- Why does Georgia need a Consumer Utility Council?
This event is sponsored by the VSU Anthropology Club.
-
Data Center Prospects in Lowndes County –Lowndes County, GA 2026-03-09
So people can catch up on what is happening with datacenters, here is Lowndes County’s astonishingly informative post on the process going forward, illustrated and annotated with what has already happened.
This post does not mean that I or LAKE or any organization with which I am associated are in favor of or opposed to everything of anything in the county’s post. There are and will be plenty of other posts for such opinions.
-
Rezoning encroachment condition alleged on potential datacenter property @ LCC 2026-03-24.
There was a somewhat startling citizen report about the possible future datacenter site at the Tuesday evening Regular Session of the Lowndes County Commission.
Encroachment alleged on rezoning condition of potential datacenter property @ LCC 2026-03-24 –LAKEIn Citizens Wishing to Be Heard, Tetiana Babcock, who owns land southeast of the prospective datacenter land on Coleman Road, said the vegetative buffer approved last July had apparently been violated, and possible even logging trucks had encroached on her property between the railroad and the Withlacoochee River, on March 9, 2026.
-
Videos: Datacenter, paving, grants, breeding, health, 4 Board Appointments, 1 Alcohol, 1 Easement Exchange, 2 Solid Waste Franchises @ LCC Regular 2026-03-24.
Six citizens spoke: Mary Roe about Paving of Green Road, Kelly Saxon about Baldwin Place grants and shelters, Amanda Hall about pet Breeding limits, Kristina Cheek McBride about Maternal Health Issues, Michael Noll about Data Center collaboration and transparency, and Tetiana Babcock about Data Center Encroachment. See other post for Tetiana Babcock.
-
Videos: Datacenter, paving, grants, breeding, health, 4 Board Appointments, 1 Alcohol, 1 Easement Exchange, 2 Solid Waste Franchises @ LCC Regular 2026-03-24.
-
Videos: 3 Rezonings, 1 Subdivision, Paving, Alcohol, Housing Loan, LMIG @ LCC Regular 2026-03-10
There were five Citizens Wishing to Be Heard, all against datacenters. One thought datacenters should go out in the woods in the country. I beg to differ.
-
Datacenters meeting, Lowndes County, GA 2026-02-17
As I said at the end, we saw unprecedented transparency from the property owner and Georgia Power, at the Lowndes County meeting about datacenters, February 17, 2026, at Valdosta State University.
We still need much more due diligence and we need a datacenter ordinance by Lowndes County.
Unprecedented transparency, Need much more due diligence, Datacenter meeting, VSU, Lowndes County, GA 2026-02-17 -
Power, water, and datacenters –Suwannee Riverkeeper 2025-11-17
Suwannee Riverkeeper noted reliable power and water are needed for economic development, and AI datacenters could be a problem for that. Also, don’t assume just because the governor says we’re doing datacenters that they will expand everywhere. Remember the dotcom bust and how cheap PCs took over, then smartphones. Somebody will invent a much less expensive method of doing so-called artificial intelligence, a method that does not require huge datacenters. Meanwhile, there are natural limits on water, witness Barber Pool, fed by a spring that now hardly ever trickles.
-
Videos: Workshop 2, Lowndes County Comprehensive Plan Update 2025-11-17
[Valdosta-Lowndes County] Chamber President Christie Moore advocated for land development process transparency.
-
Videos: Workshop 2, Lowndes County Comprehensive Plan Update 2025-11-17
-
Videos: Two rezonings and a beer and wine license @ LCC Regular 2025-07-08
There was (for them) extensive discussion of the large rezoning off Coleman Road and North Valdosta Road that was controversial at their Work Session the previous morning, as it was at the preceding Planning Commission meeting. Each speaker pro and con and the Commissioners’ remarks are in these LAKE videos.
-
Videos: Two rezonings and a beer and wine license @ LCC Work 2025-07-07
The large rezoning off Coleman Road and North Valdosta Road was controversial at the Lowndes County Commission (LCC) this morning, as it was previously at the Planning Commission.
The County Planner presented some maps and information that were not seen in the Planning Commission meeting, and the County Commissioners had many questions.
-
Two rezonings and a beer and wine license @ LCC Packet 2025-07-07
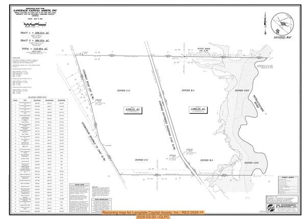
The split-vote rezoning for “a large warehouse-type campus” has arrived from the Planning Commission: REZ-2025-11 Langdale Capital Assets, Coleman Road, ~719 ac, C-C, R-1, & CON, to M-1 & CON, County Utilities.
-
Videos: Two rezonings and a beer and wine license @ LCC Work 2025-07-07
-
Videos: Two Lowndes County rezonings @ GLPC 2025-06-30
Speaking for the second rezoning, 4. REZ-2025-11 Langdale Capital Assets, Coleman Rd C-C R-1 CON to M-1 CON, Pope Langdale said that because of the railroad, which also often has a train parked on it, something would have to change to enable developing the part east of the railroad.
What could change is they could get access from US 41 through the 71 acres owned by DJ Land & Development LLC. The same company owns the most southwest lot in Foxborough, at 4662 Briarberry Drive. That’s another way access could be provided to the rezoning subject property: through Briarberry Drive. Quail Hollow, off of Foxborough Blvd., also deadends into the subject property. I suppose that’s what the first condition is about.
Speakers against included….
-
Packet: Two Lowndes County rezoning materials @ GLPC 2025-06-30
Staff does recommend seven conditions for the proposed “large warehouse type campus” on Coleman Road off of North Valdosta road, directly across the Withlacoochee River from Langdale Park. As near as I can tell, the conservation area near the river would remain. The R-1 would mostly turn into Suburban Area, wrapping around the Foxborough subdivision. West of that and northeast of the railroad tracks would be Institutional Activity Center, as would southwest of the tracks all the way to Coleman Road. North of that between the tracks and Coleman Road would be Industrial Activity Center. This is all if I’m interpreting the colors correct
ionly on this map.
Future Development Map, REZ-2025-11, 2026-03-30 –GLPC
PDFThe text in the packet materials does not seem to specify. The rezoning map does not clarify much.
Rezoning map for Langdale Capital Assets, Inc., REZ-2025-11, 2026-03-30 –GLPC
PDF -
Agenda: Two Lowndes County rezonings @ GLPC 2025-06-30
…The other is directly across the Withlacoochee River from Langdale Park, on Coleman Road off of North Valdosta Road. Presumably the part proposed for M-1 (Light Manufacturing) zoning is next to Coleman Road, not next to the river. We will know after the County Planner finishes the board packet materials.
Meanwhile I have included maps of the subject properties from the Lowndes County Tax Assessors….
Map: REZ-2025-11 Langdale Capital Assets, Coleman Road, 2026-06-26 –Lowndes County Tax Assessors
-
Packet: Two Lowndes County rezoning materials @ GLPC 2025-06-30
Irwin County
-
Who is Project Arrowhead in Irwin County, GA? –Vesper 2026-04-16,
Here’s an analysis worth reading: Vesper: Public Intelligence, April 16, 2026, Project Arrowhead: Inside Irwin County, Georgia’s Data Center Fight.
https://vesperosint.substack.com/p/project-arrowhead-inside-irwin-county
This bit, which seems based on checkable history, is very relevant:
The Fayetteville pattern has a diagnostic shape: a locally-unfamiliar front entity files the first DRI and absorbs the political friction. A shell entity files the middle-stage DRI and captures the rezoning. The named operator surfaces only after entitlements are secured. The tenant surfaces only after construction is underway. At every stage, the community is making zoning decisions about an entity that is not the entity that will ultimately own and operate the facility.
The promise of $20 million a year in tax revenue (and all the other promises) is based on an assumption that it would be a hyper-scale datacenter for so-called AI.
Bad enough if it is: likely bubble pop, etc.
But what if it’s not? Nothing else is that big, so no $20 million a year, nor many of the other promises.
I know I wouldn’t want to rezone for some unknown entity to be revealed years later, not for a project of this scale.
See also this:
In December 2025 the Georgia Department of Audits and Accounts published a statewide economic-impact analysis for data center development. In January 2026 the same office published a revision. The revision cut the headline construction-jobs number from 28,350 to 8,505. It cut operational jobs from 5,471 to 1,641. It cut value-added by roughly 70 percent. Georgia’s data center sales and use tax exemption, the policy mechanism that makes almost all of this development economically viable at the facility level, cost the state $296 million in FY25 and is projected to cost $327 million in FY26. A prior Vesper: Public Intelligence piece, The Digital Land Grab: Georgia’s Data Center Wars, cited the same Georgia Department of Audits finding that roughly 90 percent of Georgia’s existing data centers would not have been built without the exemption, meaning the state is foregoing a third of a billion dollars a year to subsidize facilities that would otherwise have located somewhere else.
And this:
The gap between announcement and operation is filled with stalled projects, delayed projects, and quietly dead projects. A community that is being asked to approve a zoning change today against a project that may not operate until 2030, if ever, is being asked to accept a transaction risk that even the developer’s own pro-forma does not try to quantify in public.
Who is Project Arrowhead in Irwin County, GA? –Vesper: Public Intelligence, April 16, 2026 -
Project Arrowhead Datacenter DRI application, Irwin County, GA 2026-04-10.
Project Arrowhead Datacenter DRI application 2026-04-10, Irwin County, GA, near Alapaha River -
Videos: Public Hearing about Datacenter Ordinance –Irwin County Board of Commissioners 2026-03-17.
Videos: Public Hearing about Datacenter Ordinance –Irwin County BOCC, 2026-03-17 -
Irwinville Data Center Withdrawn by Applicant, Irwin County Commission 2026-03-02
Overall Concept Site Plan, Ocilla DC, City of Ocilla, Irwin County, GA, 2025-02-01 –Kimley Horn, Mobile, AL
PDF
Concept Site Plan, Ocilla DC, City of Ocilla, Irwin County, GA, 2025-02-01 –Kimley Horn, Mobile, AL
PDF - Datacenter: recommended approval –Irwin County Planning Commission 2026-02-26
- Datacenter water use and Irwin County Planning Commission and Industrial Authority @ WALB TV 2026-02-16
-jsq, John S. Quarterman, Suwannee RIVERKEEPER®
You can help with clean, swimmable, fishable, drinkable, water in the 10,000-square-mile Suwannee River Basin in Florida and Georgia by becoming a WWALS member today!
https://wwals.net/donations/
