Update 2026-01-26: Videos: Water treatment upgrade because GA-EPD Consent Order, Lift Station Pump Repair, Condemnation along Twin Lakes Road, VAWA, Extension Office, Red Cross @ LCC Work 2026-01-26.
Lowndes County is under a GA-EPD Consent Order about drinking water for a well near Pine Grove Middle School. They did try for multiple bids to fix that but only got one.
And they’re fixing a sewage lift station near Ocean Pond in Lake Park. Before it breaks: good. It’s a sole source bid, though.
The Consent Order is revealed by the agenda packet page for 5.a. Spring Creek Water Treatment Plant Design Build Project. Neither the board packet materials nor the ad for bids mentions where this is. However, previous research indicates it’s the well with water tower at 4245 Hattie Pl, Valdosta, GA 31605, near a creek that runs west by Pine Grove Middle School to the Withlacoochee River.
They will vote on spending $214,412.00 on the Spring Creek plant. Which also mysteriously includes “add a lift station.” Lift stations usually refer to sewer lines, and Lowndes County’s sewer lines do not go up Hattie Place to the well site. Maybe an open records request for the Consent Order will clarify that.
And another $24,400.00 on a sewage pump repair at the Peterson Road Lift Station. The packet materials don’t say where that is, either, but it appears to be in the southeast corner of 6201 Peterson Road (the Home Depo Distribution Center), east of the I-75 Georgia Visitor Center. The sign on the fence says Roadway Lift Station.
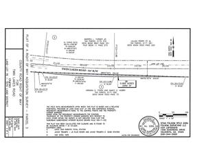
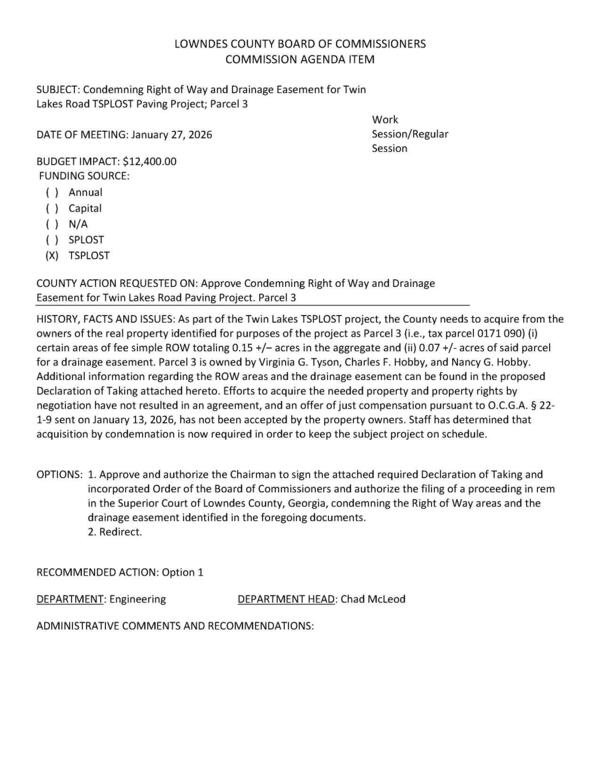
And the county thinks $12,400.00 is a fair condemnation price to get some road and drainage right of way along Twin Lakes Road.
Two wells, a lift station, surplus water meter components, and drainage eminent domain @ Lowndes County Commission 2026-01-26
That’s about a quarter million dollars they may approve Tuesday, before even adding in the $26,371.00 cash match for a VAWA grant.
| Cost | What |
|---|---|
| $214,412.00 | Spring Creek Water Treatment Plant Design Build Project |
| $26,371.00 | Approval of the Solicitor General's FY26 VAWA Continuation Grant Application |
| $24,400.00 | Peterson Road Lift Station Pump Repair |
| $12,400.00 | Condemning Right of Way and Drainage Easement for Twin Lakes Road TSPLOST Paving Project; Parcel 3 |
| $277,583.00 | Total |
Spring Creek Well
Here’s how the agenda sheet describes the Spring Creek Water Treatment Plant Design Build Project:
HISTORY, FACTS AND ISSUES: North Lowndes water system was issued a consent order from Georgia EPD several months ago due to continued disinfection by-product violations. After discussions with our engineering firm and negotiations with EPD, a decision was made to upgrade the Spring Creek site. Staff advertised an RFP to add a new deep well, upgrade existing well, install nanofiltration water treatment skids including chemical feed systems and an operations building, add an emergency back generator, and add a lift station. Three firms submitted questions, but only one proposal was received from Reynolds Construction, LLC. We believe the size and specialization of the project limited the number of proposals we received. Reynolds Construction submitted a preliminary phase price of $214,412.00. Reynolds has now presented the attached agreement between Lowndes County and Reynolds Construction of Georgia, LLC. Staff recommends approval and authorize the Chairman to sign the attached agreement with Reynolds Construction of Georgia, LLC for $214,412.00.
So they did try to get multiple bids.
BUDGET IMPACT: $214,412.00 FUNDING SOURCE: (xX) SPLOST due to GA-EPD Consent Order, one bid, Reynolds Construction
PDF
Here’s a Google Street View image of the water tower at Spring Creek Well at 4245 Hattie Pl, Valdosta, GA 31605.
Spring Creek Water Tower, 2026-01-24 —Google Street View
Here’s a location map. Notice a bit to the northeast the Norman Hall Sinkhole, which appeared in a homeowner’s garage soon after the county dug that well in 2012. By road, the sinkhole is about a mile away, but as the crow flies, more like 600 feet.
Map: Spring Creek Well
in the WWALS
map of the Withlacoochee and Little River Water Trail (WLRWT)
Peterson Road Lift Station
Here’s how the agenda sheet describes the Peterson Road Lift Station Pump Repair:
HISTORY, FACTS AND ISSUES: Pump one at the Peterson Road lift station began running high amps. After troubleshooting, the pump was sent to Xylem for further diagnostics. After examing the pump, Xylem determined the cost of repairs would be $24,400.00. The cost of a new pump is $76,440.25. Staff recommends approval for the pump to be repaired for $24,400.00.
So Lowndes County Utilities is fixing the pump before it breaks and saving money by not buying a new one. It’s a sole-source bid, though.
BUDGET IMPACT: $24,400.00 FUNDING SOURCE: (XxX) Annual, Xylem repair
PDF
Here is a Google Street View image of the lift station in the southeast corner of 6201 Peterson Rd, Lake Park, GA 31636. The sign on the gate says Roadway Lift Station.
Roadway Lift Station, Peterson Road, 2026-01-24 —
Google Street View
That location, according to USGS, is in the Withlacoochee River Basin, draining to what we call Deese Track Creek, slightly upstream from Sullivan Launch, near Pinetta, Florida.
Map: 1201 Peterson Road Lake Park Deese Tract Creek, 2026-01-24
—
TNM, with layers GNIS, Hydro Cached, NHD Plus High Resolution Dataset.
There’s also a water tower on Peterson Road, slightly uphill from Ocean Pond, which is in the Alapahoochee River Basin, upstream from the Alapaha River. Here’s a Google Street View image.
Peterson Road Water Tower, 2026-01-26 —
Google Street View
Agenda
Here is the agenda.
For the board packet, see Packet: Water treatment upgrade because GA-EPD Consent Order, Lift Station Pump Repair, Condemnation along Twin Lakes Road, VAWA, Extension Office, Red Cross @ LCC 2026-01-26.
You may wonder, as I do, why doesn’t the county put its board packets on its own website?
Maybe you’d like to ask your County Commissioners that question.
LOWNDES COUNTY BOARD OF COMMISSIONERS
PROPOSED AGENDA
WORK SESSION, MONDAY, JANUARY 26, 2026, 8:30 a.m.
REGULAR SESSION, TUESDAY, JANUARY 27, 2026, 5:30 p.m.
327 N. Ashley Street – 2nd Floor
- Call to Order
- Invocation
- Pledge of Allegiance to the Flag
- Minutes for Approval
- For Consideration
- Spring Creek Water Treatment Plant Design Build Project
Documents:Spring Creek Water Treatment Plant Design Build Project.pdf
- Peterson Road Lift Station Pump Repair
- Resolution to Sell Surplus Water Meter Components
Documents:Resolution to Sell Surplus Water Meter Components.pdf
- Condemning Right of Way and Drainage Easement for Twin Lakes Road TSPLOST Paving Project; Parcel 3
- Special Assessment Rate for 2026
Documents:Special Assessment Rate for 2026.pdf
- Approval of the Solicitor General's FY26 VAWA Continuation Grant Application
Documents:Approval of the Solicitor General FY26 VAWA Continuation Grant Application.pdf
- Reports – County Manager
- Citizens Wishing to be Heard-Please State Your Name and Address
- Adjournment
LCC Agenda 2026-01-26
For Consideration and Reports
PDF
Another Report and Adjournment
PDF
There are more images below.
-jsq, John S. Quarterman, Suwannee RIVERKEEPER®
You can help with clean, swimmable, fishable, drinkable, water in the 10,000-square-mile Suwannee River Basin in Florida and Georgia by becoming a WWALS member today!
https://wwals.net/donations/
Spring Creek Water Treatment Plant Design Build Project
BUDGET IMPACT: $214,412.00 FUNDING SOURCE: (xX) SPLOST due to GA-EPD Consent Order, one bid, Reynolds Construction
PDF
AGREEMENT BETWEEN OWNER AND DESIGN-BUILDER FOR PROGRESSIVE DESIGN-BUILD
PDF
THIS AGREEMENT is by and between __ Lowndes County, Georgia and Reynolds Construction of Georgia, LLC
PDF
PRELIMINARY STAGE SCHEDULE
PDF
ExA
EXHIBIT A — PRELIMINARY STAGE WORK
PDF
19. Revise the Report (and any other deliverables) in response to Owner’s comments, as
PDF
7. Revise the Preliminary Technical Documents in response to Owner’s comments, as
PDF
Conceptual Yard Piping Plan
PDF
SCAd
Spring Creek WTP Design Build Ad, 2025-08-01 –Lowndes County Public Works
PDF
SCWT
Spring Creek Water Tower, 2026-01-24 –Google Street View
Peterson Road Lift Station Pump Repair
BUDGET IMPACT: $24,400.00 FUNDING SOURCE: (XxX) Annual, Xylem repair
PDF
Preventative Maintenance Agreement
PDF
Xylem quote for a new Flygt pump
PDF
PRLS
Roadway Lift Station, Peterson Road, 2026-01-24 –Google Street View
Maps
Map: 1201 Peterson Road Lake Park Deese Tract Creek, 2026-01-24 –TNM
PRWT
Peterson Road Water Tower, 2026-01-26 –Google Street View
Resolution to Sell Surplus Water Meter Components
Page 44 replacing water meters that have reached the end of their useful life.
PDF
Condemning Right of Way and Drainage Easement for Twin Lakes Road TSPLOST Paving Project; Parcel 3
BUDGET IMPACT: $12,400.00 FUNDING SOURCE: (xX) TSPLOST
PDF
IN THE SUPERIOR COURT OF LOWNDES COUNTY STATE OF GEORGIA
PDF
under Article 1 of Chapter 3 of Title 32 of the Official Code of Georgia Annotated; and
PDF
NOW, THEREFORE, the premises considered, the Board of Commissioners of Lowndes
PDF
NOW, THEREFORE, IT IS HEREBY ORDERED by the governing authority of
PDF
Chapter 3 of Title 32 of the Official Code of Georgia Annotated and that it is necessary to
PDF
ANNEX 1 TO ORDER OF BOARD OF COMMISSIONERS: RIGHT OF Way AREAS
PDF
Survey: VIRGINIA G. TYSON AND NANCY G. HOBBY (1 of 4)
PDF
Survey: VIRGINIA G. TYSON AND NANCY G. HOBBY (2 of 4)
PDF
Survey: VIRGINIA G. TYSON AND NANCY G. HOBBY (3 of 4)
PDF
Survey: VIRGINIA G. TYSON AND NANCY G. HOBBY (4 of 4)
PDF
Short Link:

![[Page 5]](https://www.wwals.net/pictures/2026-01-26--lcc-wells-and-lift-stations/small/January-26-27-2026-Meeting-Packet-0005.jpg)
![[Page 8]](https://www.wwals.net/pictures/2026-01-26--lcc-wells-and-lift-stations/small/January-26-27-2026-Meeting-Packet-0008.jpg)
![[Table: Preliminary Stage Compensation Amounts]](https://www.wwals.net/pictures/2026-01-26--lcc-wells-and-lift-stations/small/January-26-27-2026-Meeting-Packet-0009.jpg)
![[Page 10]](https://www.wwals.net/pictures/2026-01-26--lcc-wells-and-lift-stations/small/January-26-27-2026-Meeting-Packet-0010.jpg)
![[Page 11]](https://www.wwals.net/pictures/2026-01-26--lcc-wells-and-lift-stations/small/January-26-27-2026-Meeting-Packet-0011.jpg)
![[Page 12]](https://www.wwals.net/pictures/2026-01-26--lcc-wells-and-lift-stations/small/January-26-27-2026-Meeting-Packet-0012.jpg)
![[Page 13]](https://www.wwals.net/pictures/2026-01-26--lcc-wells-and-lift-stations/small/January-26-27-2026-Meeting-Packet-0013.jpg)
![[Page 14]](https://www.wwals.net/pictures/2026-01-26--lcc-wells-and-lift-stations/small/January-26-27-2026-Meeting-Packet-0014.jpg)
![[Page 15]](https://www.wwals.net/pictures/2026-01-26--lcc-wells-and-lift-stations/small/January-26-27-2026-Meeting-Packet-0015.jpg)
![[IN WITNESS WHEREOF]](https://www.wwals.net/pictures/2026-01-26--lcc-wells-and-lift-stations/small/January-26-27-2026-Meeting-Packet-0016.jpg)
![[Page 20]](https://www.wwals.net/pictures/2026-01-26--lcc-wells-and-lift-stations/small/January-26-27-2026-Meeting-Packet-0020.jpg)
![[Page 21]](https://www.wwals.net/pictures/2026-01-26--lcc-wells-and-lift-stations/small/January-26-27-2026-Meeting-Packet-0021.jpg)
![[Page 22]](https://www.wwals.net/pictures/2026-01-26--lcc-wells-and-lift-stations/small/January-26-27-2026-Meeting-Packet-0022.jpg)
![[ITEM D: MISCELLANEOUS SERVICES ALLOWANCE]](https://www.wwals.net/pictures/2026-01-26--lcc-wells-and-lift-stations/small/January-26-27-2026-Meeting-Packet-0024.jpg)
![[Page 25]](https://www.wwals.net/pictures/2026-01-26--lcc-wells-and-lift-stations/small/January-26-27-2026-Meeting-Packet-0025.jpg)
![[Page 26]](https://www.wwals.net/pictures/2026-01-26--lcc-wells-and-lift-stations/small/January-26-27-2026-Meeting-Packet-0026.jpg)
![[Page 27]](https://www.wwals.net/pictures/2026-01-26--lcc-wells-and-lift-stations/small/January-26-27-2026-Meeting-Packet-0027.jpg)
![[Page 28]](https://www.wwals.net/pictures/2026-01-26--lcc-wells-and-lift-stations/small/January-26-27-2026-Meeting-Packet-0028.jpg)
![[EXHIBIT C: HOURLY BILLING RATES]](https://www.wwals.net/pictures/2026-01-26--lcc-wells-and-lift-stations/small/January-26-27-2026-Meeting-Packet-0029.jpg)
![[Map: Spring Creek Well --WLRWT 2026-01-25]](https://www.wwals.net/pictures/2026-01-26--lcc-wells-and-lift-stations/small/2026-01-25--map-spring-creek-well-wlrwt.jpg)
![[Xylem invoice]](https://www.wwals.net/pictures/2026-01-26--lcc-wells-and-lift-stations/small/January-26-27-2026-Meeting-Packet-0031.jpg)
![[Page 32]](https://www.wwals.net/pictures/2026-01-26--lcc-wells-and-lift-stations/small/January-26-27-2026-Meeting-Packet-0032.jpg)
![[Page 33]](https://www.wwals.net/pictures/2026-01-26--lcc-wells-and-lift-stations/small/January-26-27-2026-Meeting-Packet-0033.jpg)
![[Page 34]](https://www.wwals.net/pictures/2026-01-26--lcc-wells-and-lift-stations/small/January-26-27-2026-Meeting-Packet-0034.jpg)
![[Page 37]](https://www.wwals.net/pictures/2026-01-26--lcc-wells-and-lift-stations/small/January-26-27-2026-Meeting-Packet-0037.jpg)
![[Page 38]](https://www.wwals.net/pictures/2026-01-26--lcc-wells-and-lift-stations/small/January-26-27-2026-Meeting-Packet-0038.jpg)
![[Page 29]](https://www.wwals.net/pictures/2026-01-26--lcc-wells-and-lift-stations/small/January-26-27-2026-Meeting-Packet-0039.jpg)
![[Again: Preventative Maintenance Agreement]](https://www.wwals.net/pictures/2026-01-26--lcc-wells-and-lift-stations/small/January-26-27-2026-Meeting-Packet-0040.jpg)
![[Page 41]](https://www.wwals.net/pictures/2026-01-26--lcc-wells-and-lift-stations/small/January-26-27-2026-Meeting-Packet-0041.jpg)
![[Page 42]](https://www.wwals.net/pictures/2026-01-26--lcc-wells-and-lift-stations/small/January-26-27-2026-Meeting-Packet-0042.jpg)
![[Page 43]](https://www.wwals.net/pictures/2026-01-26--lcc-wells-and-lift-stations/small/January-26-27-2026-Meeting-Packet-0043.jpg)
![[A RESOLUTION]](https://www.wwals.net/pictures/2026-01-26--lcc-wells-and-lift-stations/small/January-26-27-2026-Meeting-Packet-0045.jpg)
![[Page 53]](https://www.wwals.net/pictures/2026-01-26--lcc-wells-and-lift-stations/small/January-26-27-2026-Meeting-Packet-0053.jpg)
![[Page 54]](https://www.wwals.net/pictures/2026-01-26--lcc-wells-and-lift-stations/small/January-26-27-2026-Meeting-Packet-0054.jpg)
![[Page 55]](https://www.wwals.net/pictures/2026-01-26--lcc-wells-and-lift-stations/small/January-26-27-2026-Meeting-Packet-0055.jpg)
![[Page 56]](https://www.wwals.net/pictures/2026-01-26--lcc-wells-and-lift-stations/small/January-26-27-2026-Meeting-Packet-0056.jpg)
![[Page 61]](https://www.wwals.net/pictures/2026-01-26--lcc-wells-and-lift-stations/small/January-26-27-2026-Meeting-Packet-0061.jpg)
![[Survey: Twin Lakes Road Alignment]](https://www.wwals.net/pictures/2026-01-26--lcc-wells-and-lift-stations/small/January-26-27-2026-Meeting-Packet-0062.jpg)
![[Page 63]](https://www.wwals.net/pictures/2026-01-26--lcc-wells-and-lift-stations/small/January-26-27-2026-Meeting-Packet-0063.jpg)
![[SWORN APPRAISER’S STATEMENT]](https://www.wwals.net/pictures/2026-01-26--lcc-wells-and-lift-stations/small/January-26-27-2026-Meeting-Packet-0064.jpg)
Pingback: Packet: Water treatment upgrade because GA-EPD Consent Order, Lift Station Pump Repair, Condemnation along Twin Lakes Road, VAWA, Extension Office, Red Cross @ LCC 2026-01-26 | On the LAKE front